微信
手机版
无障碍版
走进潮南
政务公开
政务服务
互动交流
解读回应
专题专栏
首页
走进潮南
政务公开
政务服务
互动交流
解读回应
专题专栏
搜索
您现在所在的位置 :
首页
>
通知公告
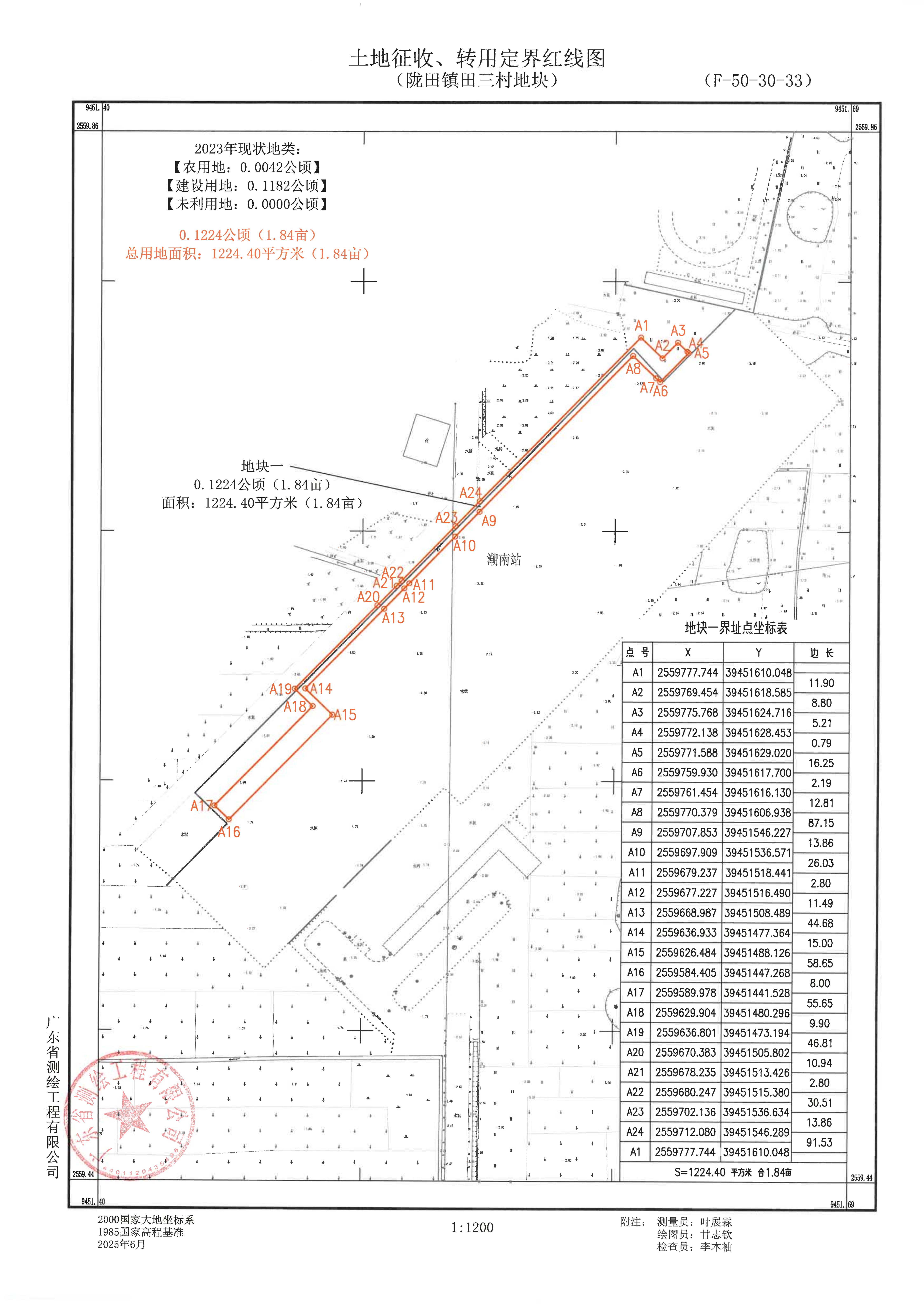
汕头市潮南区人民政府土地征收预公告(陇田镇田三经济联合社)
2025-11-14 09:35
来源:
汕头市自然资源局潮南分局
发布机构:
【字体:
大
中
小
】
扫一扫在手机打开当前页
【TOP】
【
打印页面
】【
关闭页面
】
您访问的链接即将离开“潮南区人民政府门户网站”,是否继续?